EKBI - Billund Airport
Available stands
Overview
Billund Airport is the second largest in Denmark. The airport was originally built in 1964 by LEGO. The airport was back then built to accommodate visitors to the nearby Legoland. The airport has since been taken over by nearby communes and a private company and then expanded to the size we know today. In 2023 the airport had moved nearly 4.000.000 passengers.
ALWAYS remember, if you are unsure or in doubt then ask. We will always do our best to help you out!
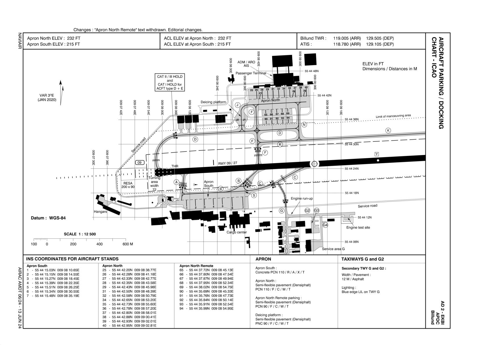
Use of stands
In Billund, there are 3 main aprons. The northern one at the terminal building accommodates all passenger planes.
The stands 25 - 26 & 38 - 40 are flex stands, meaning they can accommodate both Schengen and NON-Schengen.
Stand 27 - 37 is Schengen only.
Stand 65 - 94 is used for longer-term parking.
Southern Apron;
Stand 2 - 7 is Cargo
Stand 1 is VIP
The G area is used for General Aviation
The De-Ice pad (J) may be used for Heavy and Super
IFR clearance
Initial contact is with Tower, reporting callsign, stand number, and latest ATIS identification letter.
Remember to read/listen to the entire ATIS as there might be some specific info related to you!
Requesting De-Icing
If you require de-ice before your departure, request it with your departure clearance request.
Push-back
All stand at the terminal and Cargo stands require pushback. The Mid-Apron (Stand 65 - 94) is taxi-out based on A/C type. (Some heavy might require pushback)
**IRL pushback is at the pilot's discretion, However on Vatsim, it is up to the individual controller to simulate this or not.**
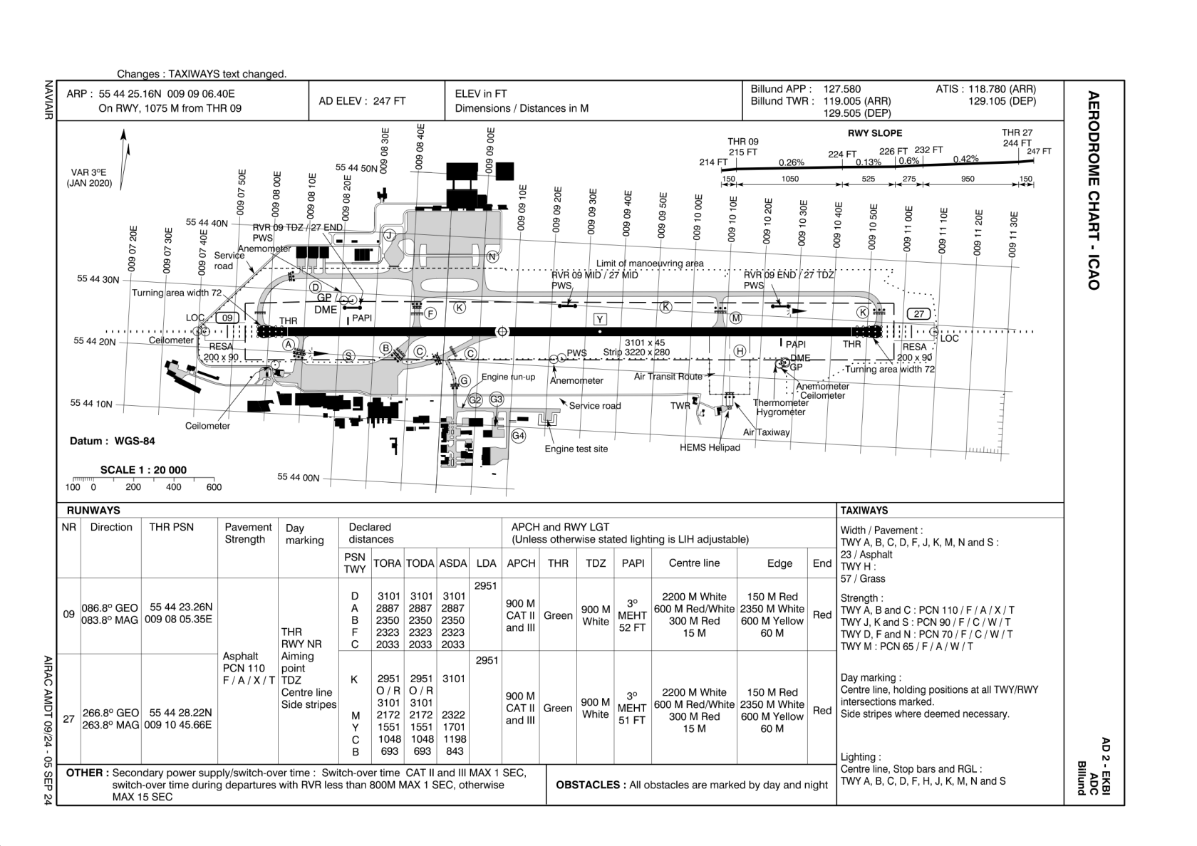
Taxi
When landing RWY 09 pilots are encouraged to continue taxiing via K to hold short at N
For departures, F intersection may be used upon request.
Intersection M may always be used at the Pilot's discretion.
Backtracking via A is NOT allowed for Mediums+, if you require full length, advise the controller and you will receive a taxi via B, F & D.
Runways
In Billund, there is only 1 runway. Both ends have ILS CATII/III. This is the normal procedure.
During direct crosswind situations i.e. winds 180 or 360, 09 may be used for departure and 27 for landing, to ensure shorter taxi times.
SIDs
Depending on destination and routing each SID can be chosen at the pilot's discretion.
However. EKCH, EKRK and EKRN Departures must use the ABINO.
When creating the Flightplan do NOT include the identifier (i.e. 2C), simply write the waypoint name.
ALL SIDS HAVE INITIAL CLIMB OF FL060!
STARs
There are no STAR's in Billund.
Expect direct to ILS fix or Vectors.
ARRIVALS
ILS Z is the only approach type normally used.
You might receive "Via [FIX] Cleared ILS Z Runway XX" Meaning after that FIX you are cleared for the ILS approach. (See the specified fixes in the pictures below)
Visual Approaches can be approved for all A/C types on request to the APP controller, it is however NOT allowed to overfly the City south of the airport.
Direct routings
If traffic permits you might receive directs from both EKDK_CTR and APP.
The fixes normally given are the ones listed above.
VFR
Below you can find chart for VFR flying in EKBI controlzone - and VFR reporting points.










